Bewässerung des Niedermoors
Aktuelle Vorschläge zur Wiedervernässung
Die aktuelle Diskussion um den Klimaschutz lenkt den Blick ganz neu auf die Rolle der Hoch- und Niedermoore in Deutschland, wo vor allem nach dem Krieg 95% der Moore entwässert und damit von CO2-Senken zu zu "CO2-Schleudern" gemacht wurden. Die entwässerten Moore verursachen rund 7% der gesamten Treibhausgasemissionen in Deutschland. Zum Beispiel: 1 Hektar entwässerter Moorboden stößt im Jahr so viel THG-Emissionen aus, wie ein Verbrenner-PKW mit 185.000 km Fahrleistung. Deshalb sehen wir es als dringend und notwendig an, die Diskussion um die Wiedervernässung des restlichen Moorkörpers mit anderen zusammen wieder anzustoßen. Bei der erhaltenden Maßnahme von 1983/84 darf es nicht stehenbleiben. Wie das im Niedermoor "Langenauer Ried" aussieht und welche Ziele und Maßnahmen sich für den Verein daraus ergeben, zeigt der Vortrag „Klimaschutz ist Moorschutz. Das Langenauer Ried als Niedermoor und die Möglichkeit der Wiedervernässung im Donaumoos" vom 19.09.2023.
Die Errichtung der Bewässerungsanlage im Donauried 1983/84
Mit diesem Bericht soll die wohl bisher größte Leistung der Arbeitsgemeinschaft Donaumoos e. V. zur Erhaltung des Lebensraumes "Niedermoor" im Langenauer Donauried in dem zeitlichen Ablauf geschildert werden.
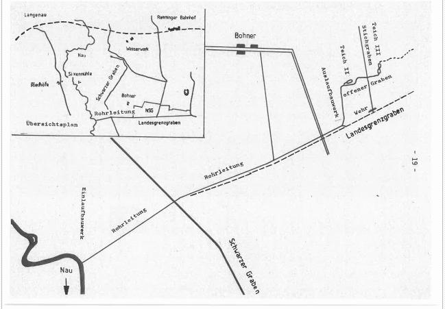
Zur Anlage selber direkt ein paar Zahlen bevor anschließend hier die Geschichte der Entstehung des Projektes folgt.

In 6 Monaten im Jahr werden 30-32 Liter pro Sekunde, was ca. 1.500-2.000 m³ am Tag entspricht, durch eine 300mm starke Leitung von der Nau ins ca. 1,5 Kilometer entfernte Naturschutzgebiet abgezweigt. Bis dorthin benötigt das Wasser ca. 27 Minuten. Dort wo es austritt wird es in einem offenen, ca. 1,5 Kilometer langen Graben, im „Ried“ verteilt. Das Gefälle auf dieser Strecke beträgt ca. 0,9 Promille, was etwa 90 cm Höhenunterschied auf 1 Kilometer entspricht.
Realisiert wurde das Projekt im Jahr 1984.
Nach über 30 Jahren Nutzungsdauer wird nun im Jahr 2017/2018 die Anlage auf Vordermann gebracht und der Einlass erneuert.
Nun stellt sich jedem vielleicht erst Mal die Frage; Warum muss denn das Ried bewässert werden? Geht es nicht auch ohne? Was ist der Hintergrund der Bewässerung?
Schon wenige Jahre nach der 1974 erfolgten Einrichtung der Bewässerungsgräben im Naturschutzgebiet Langenauer Ried, die vom Grenzgraben zwischen der Langenauer und Ramminger Gemarkung gespeist werden, musste festgestellt werden, dass das Naturschutzgebiet regelmäßig in den warmen Sommermonaten trocken fiel. Auch die Abdichtung des Wehres I (Bild), eine der ersten Aktionen der Arbeitsgemeinschaft Donaumoos, das durch Anstauen des Wassers im Landesgrenzgraben zusätzlich Wasser in das Naturschutzgebiet bringen sollte, konnte nicht den erwünschten Erfolg erzielen.
Die Überlegungen, einen Durchstich vom Schwarzen Graben zum Landesgrenzgraben durchzuführen, musste schon von Anfang an verworfen werden, da schon ein früherer Versuch eines Landwirts von den Behörden untersagt worden war.
Es wurden schon 1978 erste Überlegungen angestellt, der Nau mittels einer Pumpe Wasser zu entnehmen und es in das Naturschutzgebiet einzuleiten. Diese Überlegungen wurden damals aufgrund der zu erwartenden Folgekosten durch die ständig notwendigen Wartungsarbeiten an einer Pumpe verworfen.
Eine weitere Planung, als Ersatz für eine wartungsanfällige Pumpe, wurde in Bezug auf eine Windkraftpumpe im gleichen Jahr begonnen, musste aber wegen der zu geringen Windgeschwindigkeiten im Donauried, die einen sehr großen Propeller notwendig gemacht hätten, eingestellt werden.
In der Zwischenzeit waren das Naturschutzgebiet auf 80 ha erweitert (30.12.1981), Flachtümpel angelegt und auch im angrenzenden Leipheimer Ried durch befreundete Naturschutzgruppen eine Reihe von Flachtümpeln eingerichtet worden. Besonders diese Flachtümpel wiesen dann in den Sommermonaten immer wieder darauf hin, dass im Donauried eine geregelte Wasserzufuhr notwendig wäre. Nur die mit Folie ausgestatteten Tümpel konnten ständig mit Restmengen von Wasser beobachtet werden.
Es wurde also jetzt dringend notwendig, die Bewässerung des Naturschutzgebietes und auch des Leipheimer Riedes nochmals ernsthaft in Angriff zu nehmen.
Mit großer Hilfestellung des Wasserwirtschaftsamts in Ulm wurde eine Planung erstellt, die die Überleitung von Wasser aus dem Schwarzen Graben in das Naturschutzgebiet vorsah. Die Nivellierung des Geländes ergab zum Erstaunen der Beteiligten, dass ein ausreichendes Gefälle zur Einleitung des Wassers ohne Pumpe vorhanden ist, was den Entschluss, eine Überleitung des Wassers aus dem Schwarzen Graben, trotz der schon abzusehenden großen Kosten, wirklich in Angriff zu nehmen. Dies führte dann zu einen Genehmigungsverfahren, das nach einer Einspruchsverhandlung im Herbst 1985 zur Genehmigung dieses Planes führte.

Die weitere Beobachtung des Wasserstandes und die Nutzungsauflage der Genehmigung (1/3 des Wassers soll im Graben verbleiben, 1/3 des Wassers zur Nutzung durch die Landwirtschaft und das letzte Drittel verbleibt für die Bewässerung des Naturschutzgebietes) führte aber schon kurz nach der Erteilung der Genehmigung zur Zurücknahme derselben.
Die parallel zu dem Genehmigungsverfahren der Bewässerung aus dem Schwarzen Graben laufenden Bemühungen der bayerischen Seite, aus der Nau Wasser zur Einleitung in das Leipheimer Ried entnehmen zu können, waren zu diesem Zeitpunkt an den Widerständen der Landwirte, durch deren Grundstücke die Leitung verlegt werden sollte., mehr oder weniger gescheitert.
Vom Wasserwirtschaftsamt Ulm wurde im Anschluss an die Zurücknahme der Genehmigung der Überleitung des Wassers aus dem Schwarzen Graben eine neue Planung für die Entnahme des Wassers aus der Nau und Überleitung in das Naturschutzgebiet und in das Grabensystem im Leipheimer Ried vorgelegt. Vor dem Hintergrund der gescheiterten Verhandlungen mit den betroffenen Landwirten wurde dieser neue Plan von der Arbeitsgemeinschaft Donaumoos nicht mit großer Begeisterung aufgenommen.
Zur Festlegung der Trasse waren wieder Grundstücksverhandlungen mit 8 verschiedenen Parteien notwendig, die immer wieder neue Überlegungen in der Trassenführung notwendig machten. Die Vorgänge, die sich im Hintergrund dieser Verhandlungen mit dem Ziel der Verhinderung einer Genehmigung der Grundstücksbesitzer zum Verlegen der Rohrleitung abspielten, sollen in diesem Bericht nicht weiter ausgeführt werden.
Die Grundstücksverhandlungen wurden mit dem Ziel geführt, eine Genehmigung des jeweiligen Besitzers zu erreichen, eine Rohrleitung in dem jeweiligen Grundstück zu verlegen, in einer Tiefe, die jegliche Bearbeitung des Grundstückes mit landwirtschaftlichen Geräten erlaubt, bei Zahlung einer einmaligen Entschädigung für Ertragsverluste im folgenden Jahr. Durch notariell abgeschlossene Nutzungsverträge konnten diese Verhandlungen dann am 21. und 25. 7. 1984 erfolgreich abgeschlossen werden.
Die notwendige neuerliche Nivellierung zeigte zum Glück wieder, dass das notwendige Gefälle vorhanden war. Es wurde ein neues Genehmigungsverfahren in Gang gebracht. Einsprüche gegen die Überleitungsmaßnahme wurden von dem landwirtschaftlichen Ortsverband, von der Gemeinde Rammingen, verschiedenen Anliegern auf bayerischer Seite sowie dem Wasserwirtschaftsamt Krumbach vorgebracht. Das Einspruchsverfahren im September 1984 im Langenauer Rathaus wurde vom Landratsamt Ulm geleitet und sämtliche Einsprüche konnten aufgrund der vorgeschlagenen Genehmigungsauflagen entkräftet werden, sodass die Genehmigung erteilt werden konnte.
Parallel zu den Grundstücksverhandlungen wurde eine Ausschreibung bei vier ausgewählten Tiefbaufirmen durchgeführt, die alternativ mit und ohne Ankauf der Rohre ausgeführt wurde. Es stellte sich heraus, dass das Unternehmen, das mit einer Grabenfräse arbeiten konnte, das kostengünstigste war. Die Arbeit mit der Grabenfräse wurde als vorteilhaft angesehen, da sie, was sich dann auch bestätigte, weniger Flurschaden verursacht. Nach einigen Klärungen wurde der Auftrag zur Verlegung der 1, 5 km langen Rohrleitung und Errichtung und 7 Kontrollschächten mit Putzstücken, eines Einlaufbauwerks und eines Auslaufbauwerks vergeben.

Endlich, Ende Oktober 1984 konnte mit den Bauarbeiten begonnen werden. Einige Daten aus den Aufzeichnungen sollen den überaus raschen Ausbau und die trotzdem noch entstandenen Schwierigkeiten und Verzögerungen beschreiben:
29.10.84 Bauwagen werden aufgestellt, ein bayerischer Jäger verhindert das Aufstellen auf bayerischer Seite.
30.10.84 Rohre werden angefahren.
31.10.84 Beginn der Fräs- und Verlegearbeiten. Weitere Rohre werden angefahren. Begonnen wurde am Rand des Naturschutzgebietes. Bis Schacht 6 eingelegt (312 m)
05.11.84 Bis Schacht 4 eingelegt (insges. 787 m)
06.11.84 Bis kurz vor Schacht 2 eingelegt (insges. 1237 m). Überquerung des Schwarzen Grabens innerhalb von nur 15 Minuten.
07.11.84 Rohre bis zum Einlauf verlegt (insges. 1462 m)
Diese, durch das gute Wetter begünstigte, außerordentlich schnelle Arbeit wurde so durchgeführt, dass direkt nach dem Fräsen eines entsprechend langen Grabenstücks das Rohrstück eingebracht wurde.
Zwischenzeitlich wurden mit dem Wasserwirtschaftsamt Verhandlungen geführt, um nachträglich eine Genehmigung für den Einbau von Rohren mit 200 mm Durchmesser am Auslauf zu erreichen. Hierzu waren am 5.11.84 eine Begehunq und sehr eingehende Gespräche notwendig, bis die Genehmigung am 7.11.84 ausgesprochen wurde.
Am 6.11.84 wurde die Genehmigung eines Grundstückbesitzers erteilt, auf seinem Grundstück einen versenkten Schacht errichten zu können. Die Rohrleitung konnte nicht komplettiert werden, da die einzubauenden Putzstücke, die aus dem Ausland angeliefert werden sollten, auf dem Weg nach Langenau verschwanden und erst am 14 11. 84 auf der Baustelle angeliefert werden konnten. Natürlich wurden die Arbeiten weitergeführt:
09.11.84 Auslaufbauwerk verschalt, Schachtsohlen betoniert
15.11.84 Auslaufbauwerk fertig, Schächte betoniert.
14.11.84 Alle Schächte mit Putzstücken fertig, verdeckter Schacht zugeschüttet.
Am Wochenende 10.11.84 nivellierte Herr Frank vom Wasserwirtschaftsamt Ulm in seiner Freizeit den offenen Graben im Naturschutzgebiet. Es erfolgte bei einer Begehung eine letzte Abstimmung der Baggerarbeiten des Wasser- und Bodenverbandes. Im Stichgraben wurde die Errichtung eines Wehres zur Verhinderung des Auslaufens des Wassers in den Landesgrenzgraben vorbereitet. Am 12.11.84 übergab Herr Gaissmaier eine Spende des Lions-Clubs Ulm/Neu-Ulm. Parallel zu den Arbeiten ging die Diskussion über die wasserrechtlichen Bestimmungen weiter. Es wurde die Erweiterung der Nutzungsdauer der Überleitung von den ursprünglich genehmigten Sommermonaten auf das Sommerhalbjahr angestrebt. Nach sehr eingehenden Gesprächen konnte diese erweiterte Nutzungsdauer (vom 1.4. bis 1.11.) am 16. 11. 84 durchgesetzt werden.
15.11.84 Sohlschalen in Schwarzen Graben eingebracht. Fahrweg im Osterried gerichtet. Schächte mit Blechen geschützt. Leitung eingeebnet. Schächte angefüllt.
Die Maschinen der Baufirma wurden jetzt abgezogen; es fehlten noch die Schieberventile für das Ein- und das Auslaufbauwerk.
Aber dafür begannen die Baggerarbeiten am offenen Graben im Naturschutzgebiet:
13.11.84 Beginn der Baggerarbeiten
15.11.84 Baggern bis Teich II fertig. Fahrer der Stadt Langenau fährt, wie zugesagt, Aushub weg.
20.11.84 Graben bis ca. 100 m vor Auslauf fertig. Aushub abgefahren und auch etwas über die Rohrleitung verteilt.
Am Wochenende 17.11.84 wurde von Mitgliedern der Arbeitsgemeinschaft Donaumoos der Durchstich am Stichgraben in der Nähe des Tümpels III hergestellt, da aufgrund des Birkenbewuchses eine Arbeit mit dem Bagger nicht möglich war.

Am 21.11.84 begann es zu regnen, was bis 23.11.84 anhielt. Dies ergab Schwierigkeiten.
22.11.84 Ende der Baggerarbeiten. Ein Wagen ist so stark eingesunken, dass er mit 3 Traktoren herausgezogen werden muss.
23.11.84 Ausläufe werden von Mitgliedern verfestigt.
24.11.84 Einlaufrohr verschlossen, um. zu verhindern, dass Tiere ins Rohr gelangen.
Das schlechte Wetter setzte sich fort. Bei der Tiefbaufirma wurden in der Zwischenzeit die Deckel für das Ein- und Auslaufbauwerk erstellt und verzinkt.
Am Wochenende 1.12.84 wird der durchstochene Windschutzstreifen in der Nähe des Schwarzen Grabens von Mitgliedern der Arbeitsgemeinschaft Donaumoos wieder hergerichtet und bepflanzt. Das Wehr im Stichgraben wird errichtet.
Nach längerer Pause gehen auch die Arbeiten an der Rohrleitung weiter:
18.12.84 Einlaufbauwerk vollendet. Schieber eingebaut. Deckel aufgesetzt. Abweispfähle in der Nau mit Bagger eingerammt. Fischgitter befestigt. Steigeisen eingedübelt, Schachtdeckel gesetzt.
19.12.84 Weitere Pfähle gesetzt. Schieber befestigt.
Der Bagger sinkt so stark ein, dass er nur unter großen Schwierigkeiten wieder aus der Wiese beim Einlauf herauskommt. Die Wiese wird stark beschädigt.
Am Wochenende 22.12.84 wird von Mitgliedern der Arbeitsgemeinschaft die stark beschädigte Wiese wieder einigermaßen hergerichtet.
Am 27.12.84 wurde der Probelauf durchgeführt. Vom Einlauf bis zum Auslauf benötigt das Wasser 27 Minuten. Trotz großer Kälte bleiben alle Anwesenden da, bis das .Wasser nach ca. l 1/2 Stunden im Teich III ankam.
Das gute Funktionieren der Anlage war wohl für alle Beteiligten ein nachträgliches Weihnachtsgeschenk.
Am 15.1.85 fand die offizielle Bauabnahme durch das Landratsamt Ulm statt.
2017/2018 Renovierungung des Entnahmebauwerk an der Nau:
Am 7.3.2018 haben Mitarbeiter des Bauhofs der Stadt Langenau den neuen Schmutzfangrechen vor dem Entnahmebauwerk an der Nau angebracht. Zum Abfangen von Treibgut wurden am 18.4.18 noch zwei Schwimmbalken montiert, sodass die Bewässerung
ab jetzt wieder in Betrieb gehen kann.
Hiermit möchten wir uns bei der Stadt Langenau und den hilfsbereiten Mitarbeitern vom Bauhof recht herzlich bedanken.
Dank gebührt an dieser Stelle auch unserem Vereinsmitglied Hans Braunger der die Bewässerungsanlage seit 33 Jahren zuverlässig betreut.